der Beschlüsse des Stadtrates der Kreisstadt Homburg über die Aufstellung sowie die Beteiligung der Öffentlichkeit, der Träger öffentlicher Belange (§3 Abs. 2 und § 4 Abs. 2 BauGB) und der Nachbargemeinden an der Planung (§2 Abs. 2 BauGB) zum Bebauungsplan „Obere Patron“, Gemarkung Kirrberg
Der Stadtrat der Kreisstadt Homburg hat in seiner Sitzung am 10.02.2026 die Aufstellung des Bebauungsplanes „Obere Patron“ gemäß § 2 Abs.1 des Baugesetzbuches (BauGB) in der Fassung der Bekanntmachung vom 03. November 2017 (BGBl. I, S. 3634) unter Berücksichtigung der aktuell gültigen Änderungen beschlossen.
Ebenso hat der Stadtrat der Kreisstadt Homburg in seiner Sitzung am 10.02.2026 den Entwurf des Bebauungsplanes gebilligt sowie die Veröffentlichung des Bebauungsplanes im Internet bzw. eine Auslegung gem. § 3 Abs. 2 BauGB zur Beteiligung der Öffentlichkeit beschlossen.
Mit der Aufstellung des Bebauungsplanes werden folgende Ziele verfolgt:
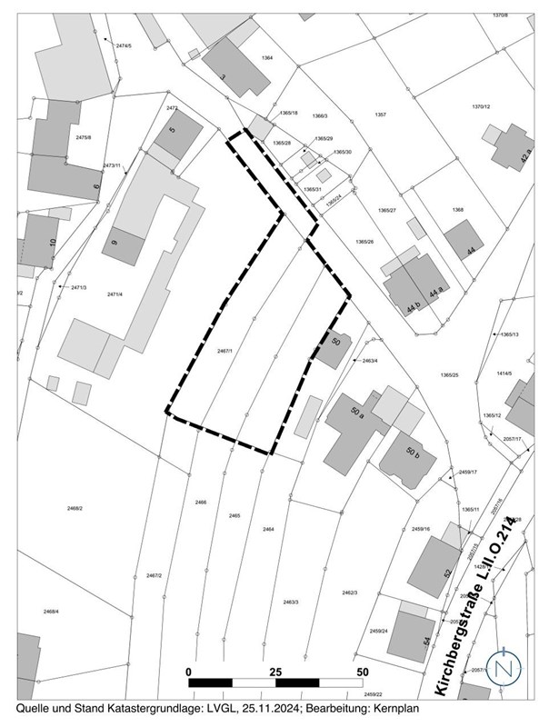
In der Kreisstadt Homburg soll in der Gemarkung Kirrberg für eine bislang unbebaute Grün-/Freifläche zwischen der Kirchbergstraße und der Straße „Obere Patron“ Baurecht für die Errichtung von bis zu drei Einfamilienhäusern geschaffen werden.
Die Fläche wird grundsätzlich über die Straße „Obere Patron“ an das örtliche Verkehrsnetz angebunden. Zur Erschließung der Wohnhäuser sieht die städtebauliche Konzeption die Verlängerung der bestehenden Verkehrsfläche (als verkehrsberuhigter Bereich) sowie die Errichtung einer Privatstraße vor. Der ruhende Verkehr kann vollständig auf den Grundstücken untergebracht werden.
Der Standort ist für Wohnnutzung sehr gut geeignet, da auch die Umgebung überwiegend durch Wohnnutzungen sowie das Wohnen nicht wesentlich störende Nutzungen geprägt ist.
Die in Rede stehende Fläche ist derzeit nach § 34 BauGB (Zulässigkeit von Vorhaben innerhalb der im Zusammenhang bebauten Ortsteile) zu beurteilen. Auf dieser Grundlage kann die geplante Wohnbebauung nicht realisiert werden. Daher bedarf es der Aufstellung des Bebauungsplanes.
Das Plangebiet befindet sich in der Gemarkung Kirrberg. Der Geltungsbereich liegt inmitten der bebauten Ortslage, zwischen der Kirchbergstraße und der Straße „Obere Patron“.
Der Geltungsbereich des Bebauungsplanes wird wie folgt begrenzt:
Die genauen Grenzen des Geltungsbereichs des Bebauungsplans sind dem beigefügten Lageplan zu entnehmen. Der Bebauungsplan umfasst eine Fläche von ca. 1.900 m2.

Der Bebauungsplan wird gem. § 13a i. V. m. § 13 BauGB aufgestellt.
Der Bebauungsplan erfüllt die Vorgaben, um gemäß § 13a BauGB - Bebauungspläne der Innenentwicklung - i.V.m. § 13 BauGB im beschleunigten Verfahren durchgeführt zu werden. § 13 Abs. 2 und 3 BauGB gelten entsprechend. Es wird darauf hingewiesen, dass gem. § 13 Abs. 3 BauGB von einer Umweltprüfung nach § 2 Abs. 4 BauGB, von dem Umweltbericht nach § 2a BauGB, von der Angabe nach § 3 Abs. 2 Satz 4 BauGB, welche Arten umweltbezogener Informationen verfügbar sind sowie der zusammenfassenden Erklärung nach § 10a Abs. 1 BauGB abgesehen wird.
Der Flächennutzungsplan stellt für die Fläche eine Wohnbaufläche dar. Das Entwicklungsgebot gem. § 8 Abs. 2 BauGB ist somit erfüllt.
Gemäß §§ 13a,13 BauGB und 3 Abs. 2 BauGB, in der Fassung der Bekanntmachung vom 03. November 2017 (BGBl. I S. 3634), unter Berücksichtigung der aktuell gültigen Änderungen, wird hiermit öffentlich bekannt gemacht, dass der Entwurf des Bebauungsplans, bestehend aus der Planzeichnung (Teil A), dem Textteil (Teil B) sowie der Begründung und dem Entwässerungskonzept in der Zeit vom 16.03.2026 bis einschließlich 17.04.2026 auf der Internetseite der Kreisstadt Homburg (unter www.homburg.de) unter folgendem Pfad: „Rathaus – Aktuelle Informationen – Bekanntmachungen Bauen“ veröffentlicht und zur Ansicht und zum Herunterladen bereitgehalten werden. Der Inhalt der Bekanntmachung ist ebenfalls eingestellt.
Die oben genannten Unterlagen können während des oben genannten Zeitraums zusätzlich im Rathaus der Kreisstadt Homburg, Am Forum 5, im 4. Stock vor Zimmer 433, während der folgenden allgemeinen Dienststunden (Mo-Do: 8.30 - 12.00 Uhr und 14:00 - 15:45 Uhr sowie Fr: 8.30 - 13.00 Uhr) eingesehen werden.
Der Inhalt der ortsüblichen Bekanntmachung nach § 3 Abs. 2 Satz 4 BauGB und die nach § 3 Abs. 2 Satz 1 BauGB auszulegenden Unterlagen sind zusätzlich über das zentrale Internetportal des Landes (https://www.uvp-verbund.de/kartendienste) elektronisch abrufbar.
Während der zuvor genannten Frist können von jedermann Stellungnahmen elektronisch per Mail an die E-Mail-Adresse stadtplanung@homburg.de, bei Bedarf auch schriftlich oder zur Niederschrift vorgebracht werden. Nicht fristgerecht vorgebrachte Stellungnahmen können bei der Beschlussfassung über den Bebauungsplan unberücksichtigt bleiben, sofern die Kommune deren Inhalt nicht kannte und nicht hätte kennen müssen und deren Inhalt für die Rechtmäßigkeit des Bauleitplans nicht von Bedeutung ist.
Die Verarbeitung personenbezogener Daten erfolgt auf Grundlage des § 3 BauGB in Verbindung mit Art. 6 Abs. 1 Buchst. e DSGVO und dem Saarländisches Datenschutzgesetz. Sofern Sie ihre Stellungnahme ohne Absenderangaben abgeben, erhalten Sie keine Mitteilung über das Ergebnis der Prüfung. Weitere Informationen entnehmen Sie bitte dem Formblatt: Informationspflichten bei der Erhebung von Daten im Rahmen der Öffentlichkeitsbeteiligung nach BauGB (Art. 13 DSGVO), welches mit ausliegt.
Kreisstadt Homburg, den 25.02.2026
Der Oberbürgermeister
Michael Forster